Rescued middle of the night from Bhaisepati. We received a midnight text on our FB page where this dog was struggling with his life after being hit by a vehicle. As we stay close to Bhaisepati, our team went to rescue the dog. It was almost 10 days back
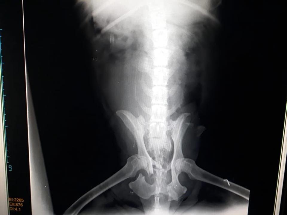
His spine is broken and will never stand on his own. We are using wheel cart on him so that he walks at least
Is it not the drivers who recklessly drive the vehicle should be
Even though we are running on a very low budget, could you please help us help more animals in need? It is only possible because of your little help.
www.snehacare.org/donate




